Некоторые плохие девочки в Японии неплохо подрабатывают тайным способом, который называется «папа кацу». Происхождение этого термина, думаю, интересно не всем, а в моем собственном вольном переводе он означает «проехаться на папике». Что имеется в виду?
Читать полностьюУгроза неотвратимого жесткого наказания действенней любых штрафов.
Читать полностьюВ последние полгода Израиль переживает самый острый политический кризис в своей истории. Конфликты между сторонниками разных политических лагерей возникали у нас и в прошлые годы. Но никогда правые и религиозные евреи не стремились обрушить экономику, вывести из нашей страны предприятия и капиталы, уехать заграницу, уклониться от резервистской службы, а главное, никогда не угрожали развязать гражданскую войну!
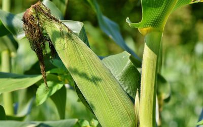
Читать полностьюКукурузные столбики с рыльцами состоят из нескольких прядей, расположенных между кукурузой и листьями. Эти "волоски" характеризуются ярко-желтым или коричневым цветом и имеют много преимуществ для здоровья, поскольку содержат различные питательные вещества, такие как калий, витамин С, щелочные вещества, эфирные масла и другие.
Читать полностьюПри перепечатывании любых материалов нашего сайта активная индексируемая ссылка на kontinentusa.com обязательна. Мнение авторов может не совпадать с позицией редакции.
© 1999 - 2026 Kontinent Media Group
Политика конфиденциальностиЭта рассылка с самыми интересными материалами с нашего сайта. Она приходит к вам на e-mail каждый день по утрам.